Działka mieszkaniowa 15 min. do lotniska Chopina

lokalizacja: Głosków, Polna

599 000,00 PLN

451,73 PLN

Opis nieruchomości

NA SPRZEDAŻ: działka mieszkaniowa, Głosków, gm. Piaseczno.
 Głosków, ul. Polna. Jedna z ostatnich działek w okolicy. Kameralna, zielona okolica z dominującą zabudową jednorodzinną.
Dogodny dojazd do Piaseczna i Warszawy
Otoczenie sprzyjające zabudowie willowej i rodzinnej
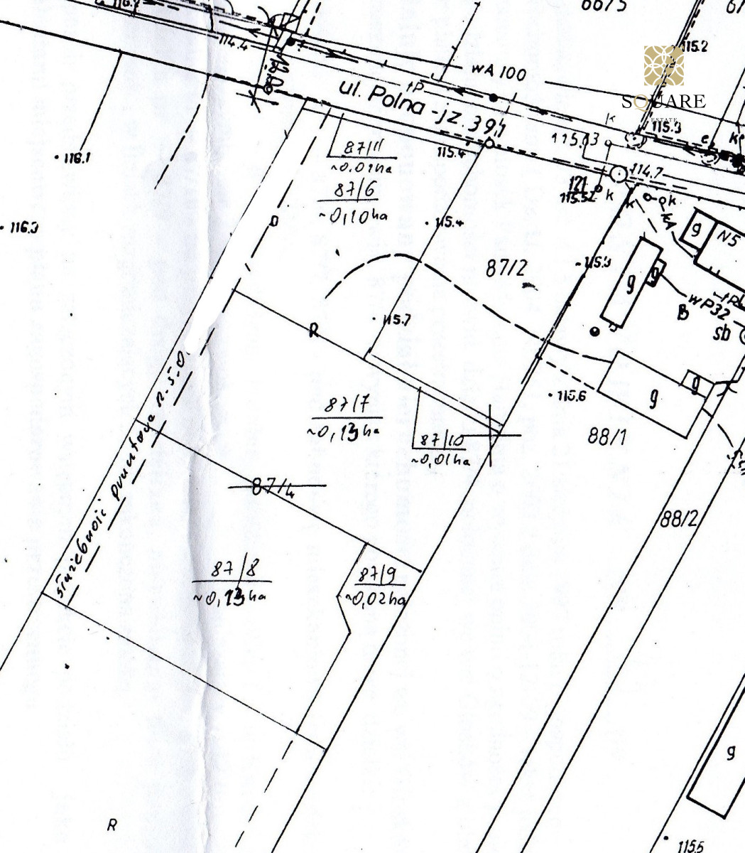
DZIAŁKA numer 87/7.
Powierzchnia 1326m2
Wymiary działki: 51,61m x 25,72m
Działka ogrodzona z 3 stron (ogrodzenie metalowe)
Aktualny MPZP, tereny zabudowy mieszkaniowej jednorodzinnej oznaczone symbolem 3.MN
Możliwości  zabudowy:
Status planistyczny: Działka objęta miejscowym planem zagospodarowania przestrzennego
Oznaczenie terenu: 3MN - zabudowa mieszkaniowa jednorodzinna ( brak konieczności uzyskiwania decyzji o warunkach zabudowy (WZ))
Rodzaj zabudowy: dom jednorodzinny wolnostojący, dopuszczalny bliźniak (1 budynek = 2 lokale w jednej bryle)
Liczba budynków: 1 budynek mieszkalny na działce, garaż / budynek gospodarczy jako obiekty towarzyszące.
Wysokość: maks. 2 kondygnacje nadziemne + poddasze użytkowe. garaż w bryle budynku
Powierzchnia biologicznie czynna: minimum 60% działki musi pozostać biologicznie czynne (przy 1300 m² oznacza to co najmniej ok. 780 m² zieleni)
Potencjał inwestycyjny dla klienta:  możliwość realizacji komfortowego domu rodzinnego, domu z gabinetem (bez funkcji uciążliwych). Duża działka pozwala na: ogród, taras, strefę rekreacyjną

Działka stanowi bezpieczną i atrakcyjną inwestycję pod budowę domu jednorodzinnego. Jasne zapisy MPZP, duży udział zieleni oraz willowy charakter zabudowy czynią ją szczególnie atrakcyjną dla klienta planującego długoterminowe zamieszkanie.

Wszystkie media w granicy służebności: prąd, gaz, kanalizacja. Sprzedający posiada projekt przyłączy.
1. Elektryczność - są warunki przyłączenia, wystarczy podpisać umowę. Przyłącze z granicy działki realizowane przez zakład energetyczny. Nie jest wymagana zgoda sąsiada.
2. Gaz - są warunki przyłączenia, wystarczy podpisać umowę. Przyłącze realizowane z działki obok przez zakład gazownictwa, nie jest wymagana zgoda sąsiada.
3. Woda i kanalizacja -są warunki przyłączenia, projekt i zgoda gminy. PWiK wyznaczyło w warunkach przyłączenie z ul. Polnej. Szacowany koszt ok. 34 000 PLN ( na podstawie wyceny lokalnej firmy).

W OKOLICY:
szkoła podstawowa (ok. 300m). lokalny sklep 400m
Świetny dojazd do Warszawy: południe miasta i lotnisko Chopina 15 min. do centrum 30 min.
Do centrum Piaseczna 15 min. 
Autobus nr 727 do Metro WIlanowska, przystanek 300m.
Bardzo dobry wyjazd na trasę S7. 
Zapraszam na prezentacje i  do negocjacji!

Przedstawiona oferta ma charakter wyłącznie informacyjny i nie stanowi oferty handlowej w rozumieniu art. 66 § 1 Kodeksu Cywilnego.
W przypadku zakupu/wynajmu tej nieruchomości agencja pobiera wynagrodzenie za obsługę transakcji.


Adres strony www: https:// NULL

Kontakt do opiekuna:

The Square Estate

Anna Ouaibi
Nieprawidłowy adres E-mail
Mapa

Strona korzysta z plików cookie w celu realizacji usług zgodnie z Polityką prywatności. Możesz określić warunki przechowywania lub dostępu do cookie w Twojej przeglądarce.